As Hurricane Michael approaches the Panhandle and is expected to make landfall this afternoon, the Florida Department of Corrections still hasn’t evacuated at least 15 state prisons in mandatory evacuation zones.
According to a Tuesday news release from the FDC, “Safety of the public, FDC staff and inmates is paramount,” and additional water and food supplies have been delivered. Facilities to receive evacuation aid so far include Franklin Correctional Institution Work Camp, Gulf Forestry Camp, Panama City Community Release Center, Pensacola Community Release Center, Shisa House West and Tallahassee Community Release Center. The release states that inmates have been relocated to parent facilities.
“All Department evacuation determinations are made in the best interest of the inmates and public safety,” says Patrick Manderfield, a press secretary with the FDC, in an email. “Several factors are considered such as wind ratings, facility age, flooding history, etc. We have staff monitoring the storm 24 hours a day to ensure inmates and staff have safe, secure housing.”
However, the Campaign to Fight Toxic Prisons, an advocacy group, claims at least 15 prisons in mandatory evacuation zones have not been evacuated, despite an early morning report by the National Hurricane Center that referred to the storm as “potentially catastrophic.”
Prisons in the mandatory evacuation zone that haven’t received evacuation aide include all correctional facilities within Bay, Citrus, Dixie, Gadsden, Gulf, Jackson, Jefferson, Levy, Okaloosa, Taylor, Wakulla, Walton and Franklin counties. For a list of individual prisons that haven’t been evacuated, click here.
According to an 8:40 a.m. update from the group, “The wife of a prisoner reports that ‘My husband is in Jefferson CI and they sandbagged all the entrances, they will leave the phones on all day today for them to keep in contact with us.’ She is advising him to tell everyone he knows to fill up anything they can with water.”
From The Weather Channel:
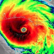
An extreme wind warning has been issued until 2:15 p.m. EDT for Gulf, southern Bay and southwestern Franklin counties where winds in excess of 130 mph are moving onshore. This is an extremely dangerous and life-threatening situation. Treat this warning as if a tornado was approaching and move immediately to the safe room in your shelter, advises the National Weather Service. … As the National Weather Service in Tallahassee emphasized early Wednesday, this morning was the last chance to get to a safe place in the Florida Panhandle and Big Bend hurricane and storm surge warned areas.
Asked to confirm whether all prisons in mandatory evacuation zones have been evacuated, Debbie Jones, an administrator at the Florida Department of Corrections, said, “All necessary preparations have been made by the Department.”
Asked to detail what sort of measures have been taken, Jones repeated her answer. She did so again when asked whether there are plans to evacuate the 15 prisons located inside the mandatory evacuation zone.
If Michael makes landfall as a Category 4 storm, as expected, it would be the strongest storm to hit the area since 1851, Phil Klotzbach, a tropical scientist at Colorado State University, tells the Weather Channel.
This is a breaking story. We’ll update when more information is available.
Stay on top of Orlando news and views. Sign up for our weekly Headlines newsletter.
This article appears in Oct 10-16, 2018.


